Na prodaju

Dva gradjevinska placa ukupno 13 ari u Arandjelovcu

20.000 EUR
Aranđelovac , Šumadijski okrug
Broj soba 1
Povrsina 1295 m2
Sprat Prizemlje

Opis

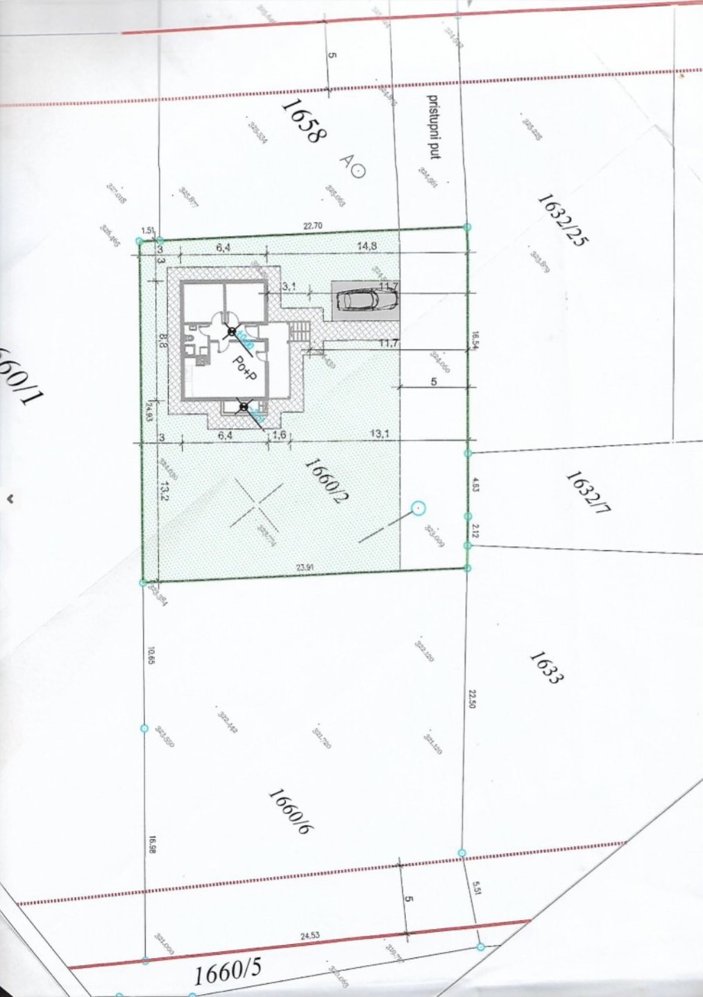
Prodajem 2 građevinska placa v skicu KO Aranđelovac parcela 1660 2 površine 600 m2 i parcela 1660 6 površine 638 m2 kojoj pripada i deo parcele 1660 5 površine 57 m2 ukupna površina 1295 m2 Na najlepšem mestu u Aranđelovcu par stotina metara udaljeno od Parka Bukovičke Banje u podnožju Bukulje u prostornoj celini 5 PARK podcelina 5 3 turizam apartmansko pansionski Prelep pogled na Aranđelovac i Bukulju Izuzetno čist vazduh jer ulicom prođe samo nekoliko vozila dnevno Na placevima je trenutno voćnjak šljive Gotova građevinska dozvola za gradnju prizemne kuće 60 m2 v priloženu fotografiju planirane kuće sa podrumom 25 m2 na placu 1660 2 Gradnja može da počne odmah a dozvola važi 3 godine Struja gas vodovod kanalizacija kanalizacija za oba placa izvedena do ulične šahte Kontakt 0643352390

Osnovne informacije

Povrsina 1295 m2
Basta Ne
Cena 20.000 EUR

Dodatno

Prodaje se jednosoban površine 1295m2 u ulici Laze Lazarevica